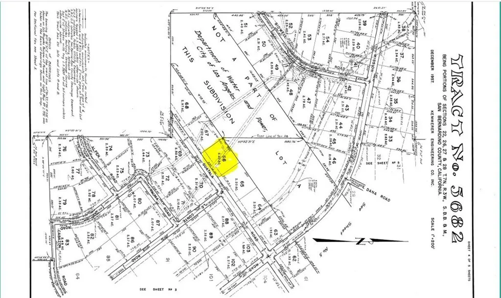
Guatala Rd., Barstow CA 92311 | $24,350
Listing provided courtesy of Ricardo Pelayo of Hesperia Real Estate & Loans. Last updated . Listing information © 2025 .
This is about 2.2 acre lot located between Wild Wash Rd and Dale Evans Pkwy. between Victorville and Barstow , it seems to be in the Apple Valley unincorporated area in San Bernardino County. May be a nice place to ride your off Road vehicles, Camping, etc; As permitted by S.B. county. Power lines are along Willow Springs Rd, but not on property. This is a Rural area. No utilities available nearby. May use for recreational purposes or to live off the grid. Some occupied Manufactured homes within the area. This lot is about 3.0 Miles of dirt rd. from Paved Rd. Dale Evans Pkwy. Buyer must verify all information regarding the property including, square Footage, Property Boundaries, Zoning, permitted Uses, Utilities availability and Costs, Etc; with the appropriate agencies. Property has not been surveyed and seller will not pay for a survey. Information herein was obtained from sources we deem reliable, but no guarantee of any kind is herein made or implied by seller / agents.

















