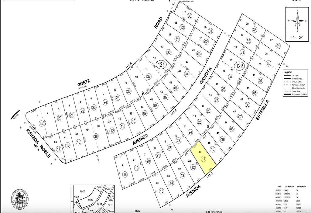
Avenida Estrella, Menifee CA 92587 | $75,000
Listing provided courtesy of John Graef of eXp Realty of Southern CA. Last updated . Listing information © 2025 .
Great opportunity to secure a nearly 1/4 acre (10,000+ sqft) lot in the growing city of Menifee! Located in an established neighborhood, with paved roads and close access to utilities, this parcel is ideal for building your dream home or holding as an investment. Enjoy the access to shopping, schools, and the 15 & 215 freeways. (Note that the lot for sale is the left half of the open land between the two homes.) The Menifee area is growing fast -- secure your piece of this vibrant community today!





















